公司新闻/正文
1340 人阅读发布时间:2024-08-07 15:43
Incucyte® 实时活细胞分析系统是一款革命性的细胞成像设备,可以实现培养箱内连续数小时、数周乃至数月的长时程连续观察。其“傻瓜式”的实验设置和分析,以及精准的各种细胞指标计算,使得很多用户对其爱不释手,在细胞水平的体外实验中有着广泛应用。
无需多言,让论文数量证明一切!在2024年上半年,陈老师收集到了近50个单位发表的逾70篇国内论文。
|
单位 |
计数 |
单位 |
计数 |
|
四川大学华西医院 |
5 |
河北北方学院 |
1 |
|
北京大学第三医院 |
4 |
湖北工业大学 |
1 |
|
北京协和医学院 |
4 |
复旦大学附属华山医院 |
1 |
|
上海交通大学医学院附属仁济医院 |
3 |
陆军军医大学 |
1 |
|
中山大学附属第六医院 |
3 |
南昌大学第二附属医院 |
1 |
|
澳门大学 |
2 |
南通大学附属医院 |
1 |
|
北京大学 |
2 |
青岛大学 |
1 |
|
赣南医科大学 |
2 |
厦门大学 |
1 |
|
南京中医药大学 |
2 |
山东省立医院 |
1 |
|
中国医科大学附属盛京医院 |
2 |
上海交通大学 |
1 |
|
中国医学科学院医药生物技术研究所 |
2 |
中科院上海药物研究所 |
1 |
|
北京师范大学 |
1 |
上海闸新中西医结合医院 |
1 |
|
北京药理毒研究所 |
1 |
上海中医药大学 |
1 |
|
滨州医学院 |
1 |
首都医科大学 |
1 |
|
东南大学附属中大医院 |
1 |
天津大学 |
1 |
|
福建医科大学 |
1 |
中国医学科学院阜外医院 |
1 |
|
中山大学附属口腔医院 |
1 |
北京301医院 |
1 |
|
广州中医药大学 |
1 |
中国聋儿康复研究中心 |
1 |
|
重庆医科大学 |
1 |
中南大学 |
1 |
|
同济医学院 |
1 |
中山大学肿瘤防治中心 |
1 |
|
郑州大学 |
1 |
海军军医大学 |
1 |
|
郑州大学第一附属医院 |
1 |
浙江大学医学院附属邵逸夫医院 |
1 |
|
中山大学附属第三医院 |
1 |
杭州医学院 |
1 |
|
中山大学孙逸仙纪念医院 |
1 |
||
图1. 2024上半年Incucyte® 文章第一作者单位分布
从论文的分布单位来看,许多单位在半年内就发表了多篇论文,例如华西医院、北京大学第三医院、北京协和医学院等。足以说明因为其简单易用,短时间内能生成多个精确数据,是发文章的利器!

图2. 2024上半年Incucyte® 文章应用分布
Incucyte® 的应用种类也变得更加广泛。使用Incucyte® 可以帮助研究人员高效地获取实时的细胞信息,从而不会错过任何细节。从这些发表的论文来看,除了传统的细胞增殖活性和划痕迁移实验外,还有细胞黏附、克隆形成、吞噬等多种应用。此外,还有溶酶体酸度、钙离子检测、EV(外泌体)摄入等新应用。
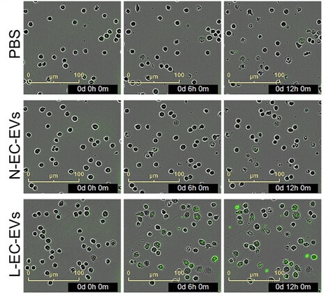
东南大学附属中大医院
外泌体摄入[1]
急性肺损伤(ALI)/急性呼吸窘迫综合征(ARDS)是一种常见的危及生命的综合征,目前尚无有效的治疗药物。内皮细胞衍生的细胞外囊泡(EC-EVs)在ALI/ARDS的发展中起着至关重要的作用。该篇文章证明了在败血症中循环EC-EV的数量增加,通过靶向单核细胞并将其重新编程为促炎巨噬细胞,从而加剧肺损伤。生物信息学分析和进一步的机制研究表明,脓毒症期间在EC-EV上过表达的VCAM1通过与单核细胞表面相互作用来激活NF-κB通路,从而调节单核细胞分化。ARDS 患者的 VCAM1 EC-EV 数量显着增加。这些发现不仅揭示了脓毒症相关ALI/ARDS的新机制,还为其精准治疗提供了潜在的新靶点和策略。Incucyte® 用来观察EV摄入,每30分钟拍照一次,连续监测12小时。


图3. 单核细胞对EV的摄入:正常内皮细胞产生的 EV 被称为“N-EC-EV”,而用 LPS 刺激的内皮细胞产生的 EV 被称为“L-EC-EV”,两者都用绿色荧光标记;可见,单核细胞选择性地摄入L-EC-EV
EV摄入过程相对较快,使用Incucyte® 可以高频率非干扰地连续拍摄,不会错过每个细节。
澳门大学
线粒体膜电位[2]
结肠癌是全球最常见的恶性肿瘤之一。天然产物为开发更有效、毒性更小的抗癌药物提供了有希望的途径,扩大了临床治疗武器库。在这项研究中,从Melia azedarach L.的果实中分离出一种三萜类化合物(EHMT),对结肠癌细胞具有显着的抑制活性,同时对正常细胞无毒性。EHMT有效抑制了HCT116细胞系的集落形成,并诱导了细胞凋亡和细胞周期停滞。此外,EHMT 促进了活性氧(ROS)的产生和线粒体膜电位的去极化。值得注意的是,EHMT 通过激活 HCT116 细胞中的 JNK 信号通路触发 ROS 介导的细胞凋亡。这些发现使EHMT成为治疗结肠癌的潜在候选药物,为对抗这种可怕的疾病提供了新的希望。Incucyte® 用来测试线粒体膜电位的去极化。

图4. Incucyte® 拍摄JC-1染色后的HCT116细胞(在线粒体膜电位较低时,JC-1不能聚集在线粒体的基质中,此时JC-1为单体,可以产生绿色荧光);由此可见,EHMT浓度越高,线粒体膜电位越低(线粒体膜电位的下降是细胞凋亡早期的一个标志性事件)
Incucyte® 有强大并且使用简单的软件分析,可以准确计算各种参数
南京中医药大学
粘附测试[3]
循环肿瘤细胞(CTC)簇在癌症转移中起着关键作用。建立一种可靠的体外方法学模型,以形成生物学特性与临床CTC簇非常相似的CTC簇。本文系统地优化了培养方法,形成了体外CTC簇模型,并对其生物学能力对其进行了评估。体外CTC簇模型与肿瘤转移不同阶段患者分离的CTC簇的病理特征具有高度相似性,包括CTC簇的外观形态、大小、粘附等指标。该研究提供了一个可靠的模型,有助于在体外获得相对稳定和合格的CTC簇,推动肿瘤转移的研究。Incucyte® 用来检测CTC簇的粘附。

图5. Incucyte® 检测CTC的粘附:可以看到CTC簇比单个细胞更容易延伸和粘附,E图是根据20h细胞面积的计算结果
Incucyte® 照片也很清晰地看到单个细胞的形态
赛多利斯还提供CTC挑取神器
——全自动无损细胞分离系统

中山大学附属口腔医院
溶酶体酸度[4]
糖尿病相关性牙周炎(DP)表现出严重的炎症和对常规牙周治疗的抵抗。本文研究了DP患者牙龈上皮细胞(GECs)高炎症反应的潜在机制—高糖条件下溶酶体功能障碍导致自噬通量阻塞,加剧了GECs的炎症反应。GECs的单细胞RNA测序和免疫组织化学分析显示,DP患者溶酶体通路失调,其特征是溶酶体相关膜糖蛋白2 (LAMP2)和ATP6V0C(一种ATP酶)水平降低。此外,ATP6V0C缺乏的GECs表现出自噬受损和炎症反应增强,反映了高糖刺激的效果。该发现强调了溶酶体损伤在DP自噬阻塞中的关键作用,可能为开发针对DP的有效治疗策略铺平道路。结合溶酶体特异性指示剂,通过Incucyte®系统检测酸度变化趋势,连续监测48h。


图6. Incucyte® 结果:在高血糖微环境下(左图)或者ATP6V0C敲低(右图)情况下,对人牙龈上皮细胞(GECs)进行体外刺激,Incucyte® 结果显示溶酶体酸度降低,自噬被阻断
只要有合适的活细胞染料,万物皆可以使用Incucyte® 表征
为什么Incucyte® 那么火热呢?
培养箱内无限时间的连续观察,最短几分钟间隔拍摄,减少人力,防止过多操作对细胞的伤害和视野移动
6个板位,分别独立设置检测程序,可以兼容各种孔板和培养皿,通量高
高效简便的模块化软件设置和数据分析,输出图片、视频、生长曲线等多指标多参数
> 100种优化过的配套荧光试剂和耗材及详尽的Protocol
论文>16,000篇,认可度高
一句话:您只需放好细胞,其他就交给Incucyte® 吧!